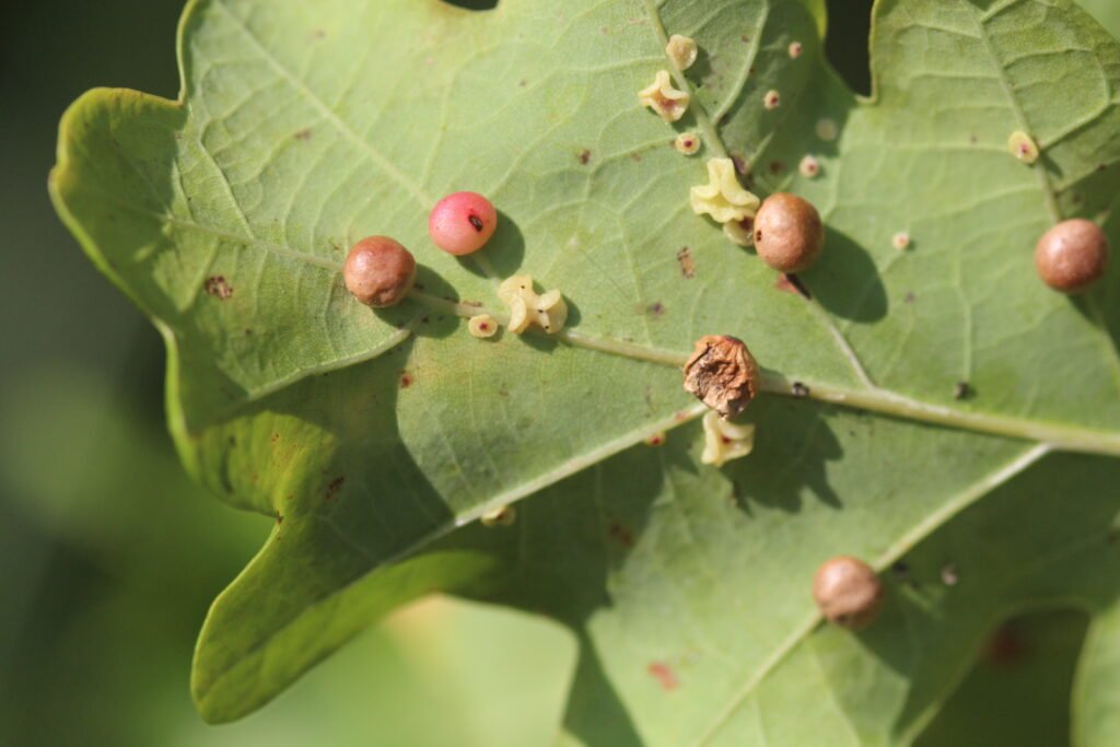
Galle du chêne (Neuroterus quercusbaccarum) – Photothèque 3.0

Galle du chêne (Neuroterus quercusbaccarum)

Galle du chêne (Neuroterus quercusbaccarum)


Détails : Galle du chêne (Neuroterus quercusbaccarum) 

1 observations pour Galle du chêne (Neuroterus quercusbaccarum).

12/09/2014
Ru Milhoux
M.Bronchart