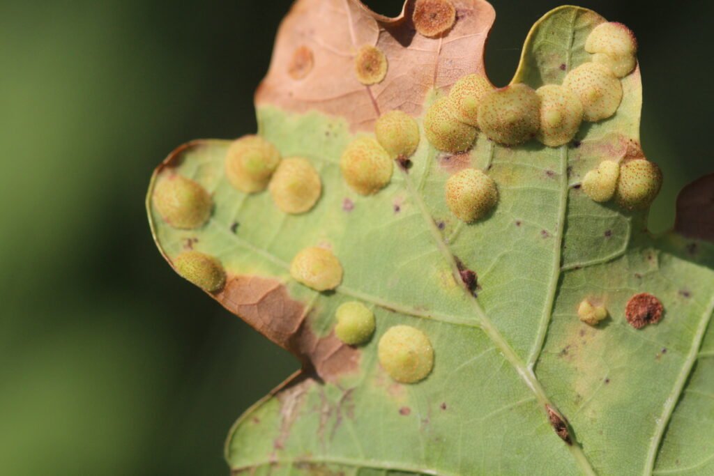
Galle du chêne (Cynips divisa) – Photothèque 3.0

Galle du chêne (Cynips divisa)

Galle du chêne (Cynips divisa)


Détails : Galle du chêne (Cynips divisa) – les boules rouges 

1 observations pour Galle du chêne (Cynips divisa).

12/09/2014
Ru Milhoux
M.Bronchart